Güncelleme Tarihi:
ABD Ulusal Kasırga Merkezi (NHC), ABD’nin güneyindeki Florida eyaletini vurması beklenen Milton Kasırgası'nı, kasırga ölçeğinin en güçlü düzeyi olan Kategori 5'e yükseltti.
Hava durumu takibi yapan The Wheater Channel isimli internet sitesinde ise kasırganın çarşamba gecesi geç saatlerde veya perşembe sabahı ABD anakarasına ulaşarak Florida'nın Tampa, Sarasota ve Fort Myers gibi yerleşim yerlerini içeren yoğun nüfuslu bir bölgeyi etkisi altına alması beklendiği kaydedildi.
Florida Valisi Ron DeSantis de son açıklamasında, eyalet yönetiminin Milton Kasırgası'nın ardından yaşananlarla başa çıkmak için "benzeri görülmemiş kaynaklar ayırdığını" belirtirken bölge sakinlerini "tahliye emirlerine uymaları konusunda" uyarmaya devam etti.
Eyaletten tahliyeler sürerken, ABD Başkanı Joe Biden Milton Kasırgası’nın “Son 100 yılda ABD’deki en kötü fırtınalardan biri” olabileceği konusunda uyardı.
Biden tahliye emri alan Floridalılara, yaşadıkları bölgeyi hemen terk etmeleri çağrısı yaptı, bunun “ölüm kalım meselesi" olduğunu söyledi.
ABD Başkanı Biden Almanya ve Angola’ya düzenlemeyi planladığı seyahatlerini erteledi.
YILLARDIR GÖRÜLMEMİŞ BÜYÜKLÜKTE BİR TAHLİYE ÇALIŞMASI
Bugün eyalete ulaşması beklenen kasırga öncesinde eyalette yıllardır görülmediği kadar büyük bir tahliye çalışması yürütülüyor.
Saatte 240 km hıza ulaşan şiddetli rüzgarların, bugün yoğun nüfuslu Tampa şehrini vurması bekleniyor.
Tahliye edilenler arasında Tampa'nın yaklaşık 6,4 km. güneybatısındaki bir ABD Hava Kuvvetleri üssü de bulunuyor.MacDill üssündeki personel ismi ve tanklar açıklanmayan başka yerlere taşındı.Üste yaklaşık 6.600 askeri ve sivil personel çalışıyor.
Tampa Uluslararası Havaalanı'nda dün gidiş ve geliş toplam 346 uçuş iptal edildi.Bugün içinse 378 uçuş daha iptal edildi.Tampa’dan aynı eyaletteki Orlando şehrine bugün yapılması planlanan toplam 781 uçuş da iptal oldu.
51 BÖLGEDE OHAL, YÜZLERCE UÇUŞ İPTAL
Florida’daki 51 bölgede olağanüstü hal ilan edildi. Florida Valisi Ron DeSantis, "Florida'nın batı kıyısındaki hemen hemen her yerin" fırtınadan etkilenebileceği konusunda uyardı. Eyaletteki yüzlerce uçuş iptal edildi, bazı havalimanları da kapandı.
Kasırgadan etkilenebilecek kişilerin günlük ihtiyaçlarını karşılamak için de hazırlıklar yapılıyor.Federal Acil Durum Yönetim Kurumu (FEDA), 20 milyon öğün yemek ve 40 milyon litre su dağıtımına hazır durumda olduklarını açıkladı.
NEDEN BU KADAR ŞİDDETLENDİ?
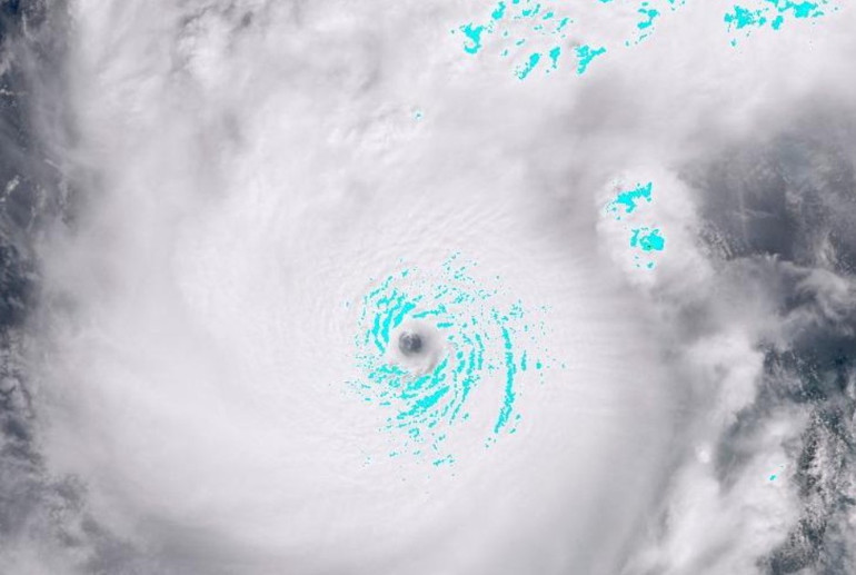
Milton Çarşamba günü daha da şiddetlenerek beşinci kategoriye yükseldi. Merkezindeki sürekli rüzgarlar 270 km/s hıza ulaşabiliyor. Bu kasırganın şiddeti, kısmen üzerinde seyrettiği okyanusun normalden daha sıcak olmasıyla ilişkili. Deniz yüzeyi sıcaklıkları normalden yüksek ve bilim insanları bunun iklim değişikliğiyle bağlantılı olduğunu birçok kez ortaya koydu.
Milton, daha düşük bir şiddetle Florida'ya ulaşabilir. Mevcut hava tahminlerine göre karaya ulaştığında üçüncü kategoride olması bekleniyor. Ancak risk alınmamalı, bu yine de çok şiddetli bir kasırga olmaya devam edecek.Yıkıcı rüzgarlar ve yaygın sel baskını ihtimali, ortaya çıkacak zararı büyütebilir.







